瑪娃長出「愛心眼」再增強!一路向西大迴轉 最逼近台灣時間曝

2023年05月25日

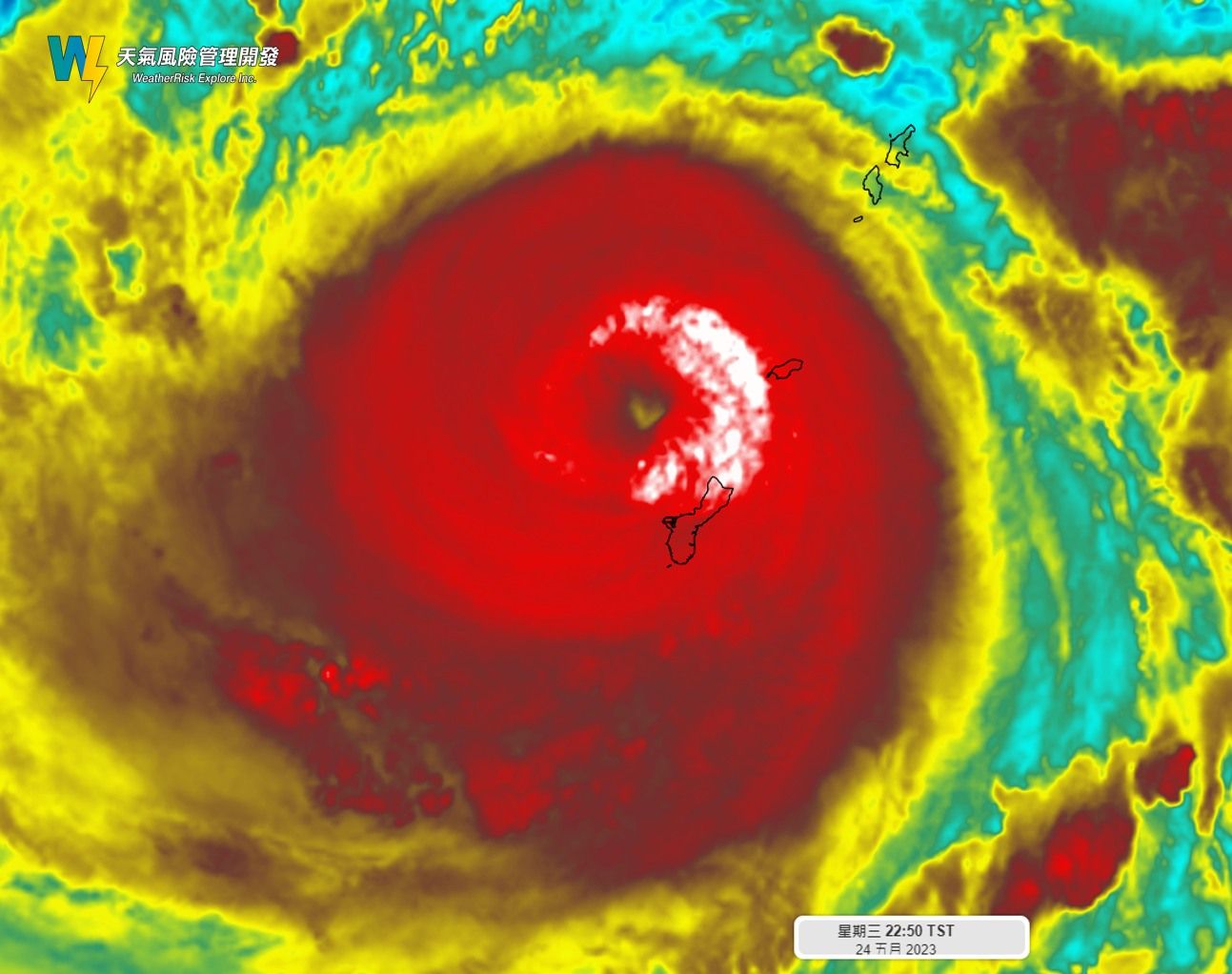
颱風瑪娃24日因雙眼牆置換,一度從強颱減弱為中颱,現在重新開眼並出現「愛心眼」,預計接下來有機會增強回強烈颱風,並往西北西移動,在下週日或下週一達到最大強度,直到靠近台灣才會逐漸減緩並北轉,對台灣影響還待觀察。

 

 

 

 

 

 

 

天氣風險公司在臉書表示:「瑪娃重新開眼(愛心眼?),目前各模式路徑還是有些分歧,究竟怎麼走、轉向角度都仍待觀察,雖路徑有變數,但周五過後颱風引起的長浪就可能傳遞到東半部沿岸,岸邊活動請注意安全。」

 

▼氣象專家吳德榮則表示,今晨2時中央氣象局颱風路徑潛勢預測圖顯示,瑪娃已通過關島附近海面,過去稍減弱為中度,但未來有再增強為強烈,並逐漸達到巔峰,預測西北西進行,5天後不確定範圍略為擴大,代表已在轉向點附近。

 

▼吳德榮稱,最新歐洲(ECMWF)系集模式模擬圖顯示,瑪娃的系集平均路徑,大約在5至6天接近巴士海峽時,逐漸向東北大迴轉,不過有許多系集路徑分散在粗黑線的西側,其對台灣有比較大的威脅,但這是科技極限的不確定性,需要持續觀察。

 

 

 

 

 

▼吳德榮還說,最新歐洲模式模擬顯示,下週一至下週三颱風在台灣東方海面迴轉,迎風面大台北、東半部有局部陣雨,背風面中南部天氣穩定,但仍得視瑪娃動向再作調整。

 

 

 

中央氣象局則表示,瑪娃今天(25日)可能又回到強颱,強度有可能比之前更強,最強時間大概落在下週日或下週一。至於瑪娃會不會影響台灣,颱風下週一之後有慢慢北轉的分量出現,屆時北轉時間點很重要,若是提早北轉,影響就較小,如果較晚北轉,影響程度較大,可能在下週二、下週三影響近海,但仍有很大的不確定性,還要再觀察。

來源:網路資料